Irma se debilita pero golpea las costas de Cuba

Los reportes del Instituto de Meteorología de Cuba revelan que el huracán, degradado por el momento a categoría 4, sacudió las provincias de Camagüey y Ciego de Ávila, en el centro este de la isla. En Florida sigue la evacuación.


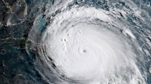
Asi se ve Irma desde el espacio. Foto: Nasa.

Noticias RCN

septiembre 09 de 2017
08:17 a. m.
Unirse al canal de Whatsapp de Noticias RCN

A las seis de la mañana el centro del intenso huracán Irma fue localizado por la red de radares del Instituto de Meteorología cubano sobre Cayo Santa María y a unos 50 kilómetros al nordeste de la ciudad de Caibarién, provincia de Villa Clara.

Durante la madrugada el huracán Irma ha mantenido vientos máximos sostenidos en el orden de los 250 kilómetros por hora.

"A medida que Irma se desplace al oeste sobre la costa norte de la región central, persistirán los vientos con fuerza de tormenta tropical en Las Tunas y la mitad sur desde Camagüey hasta Artemisa donde en su mitad norte los vientos son huracanados, entre los 160 y 190 kilómetros por hora, con rachas superiores", dice el más reciente reporte publicado en la página oficial del ente regulador de las noticias del clima en la isla.

El huracán Irma se debilitó levemente en su paso por la costa norte de Cuba, mientras que en Florida, Estados Unidos, continúa la evacuación de millones de residentes tras las 21 víctimas mortales que ha dejado el fenómeno en el Caribe oriental.

De acuerdo con los informes del Centro Nacional de Huracanes de Estados Unidos, Irma ha oscilado entre Categoría 4 y Categoría 5 y podría tocar Florida el domingo. "Provocaría olas de hasta dos metros en zonas de la costa norte de Cuba, el centro y noroeste de Bahamas".

La tormenta se ubicaba a unos 365 kilómetros al sur de Miami, con vientos máximos sostenidos de 215 kilómetros por hora.

El pronóstico es que Irma podría fortalecerse mientras se aleja de Cuba y mantener su clasificación de huracán poderoso en su ruta hacia Florida. Un total de 5,6 millones de personas(25% de la población), recibieron órdenes de evacuación, según la división de la agencia de emergencias en este estado.

Mares agitados, cielos grises, lluvia, palmeras torcidas, olas gigantescas que se estrellaban contra los rompeolas y líneas eléctricas derribadas ocupaban el noticiario vespertino de la televisión pública mientras Irma se disponía a impactar en la provincia de Ciego de Ávila alrededor de la medianoche del pasado viernes.

La llegada de Irma a Estados Unidos se produce a dos semanas de que el huracán Harvey provocó la muerte de unas 60 personas y daños por hasta 180.000 millones de dólares en Texas y Luisiana.

Estados Unidos sólo ha sufrido tres tormentas categoría 5 desde 1851 e Irma es mucho más poderosa que la última de 1992, el huracán Andrés, según la Agencia Federal de Gestión de Emergencias.

El presidente de Estados Unidos, Donald Trump, dijo que Irma es una tormenta "de potencial destructivo histórico" y pidió a la población que haga caso a las recomendaciones de las autoridades.

Video: Nasa.gov

El Huracán José

Irma devastó islas del noreste del Caribe como Barbuda, San Martín y las Islas Vírgenes. Pero ahora, los residentes de estas zonas también enfrentan la amenaza de otra tormenta mayor, el huracán José, que pese a que se ha debilitado un poco sigue siendo un huracán Categoría 4.

"Se ha observado algún debilitamiento en el ojo del fenómeno. las autoridades de Sotavento y Guadalupe monitorean segundo a segundo el comportamiento de José para extremar las medidas. "Independientemente de los cambios que se registren en los pronósticos José seguirá siendo un huracán categoría 4 en su camino por el norte de la isla de Sotavento", advierte el reporte del NHC.
NoticiasRCN.com
Unirse al canal de Whatsapp de Noticias RCN Google News Síguenos en Google News

Te puede interesar

Artistas

Falleció reconocido músico y humorista argentino a los 86 años

Australia

Australia endurecerá las leyes sobre armas tras el tiroteo antisemita que dejó 15 muertos en Sídney

Estados Unidos

La policía investiga la muerte de Rob Reiner y su esposa como un aparente homicidio

Otras Noticias

Horóscopo

Horóscopo de hoy: lunes 15 de diciembre de 2025

Este lunes 15 de diciembre, marca un inicio de semana que invita a poner orden, aclarar conversaciones y tomar decisiones con conciencia emocional.

Prima

Prima extralegal 2025: ¿Cuáles trabajadores la reciben a fin de año y de cuánto es el pago?

Conozca qué trabajadores recibirán prima extralegal en 2025, quiénes no tienen derecho y de cuánto puede ser el pago a fin de año en Colombia.


Video captó cómo una estudiante de colegio vendía droga a sus compañeros en Nariño

Alarmante cifra de casos de bullying en colegios: ¿Qué hacer en caso de ser víctima?

El grande de Suramérica que va por Washington Aguerre: están negociando y se iría de Medellín