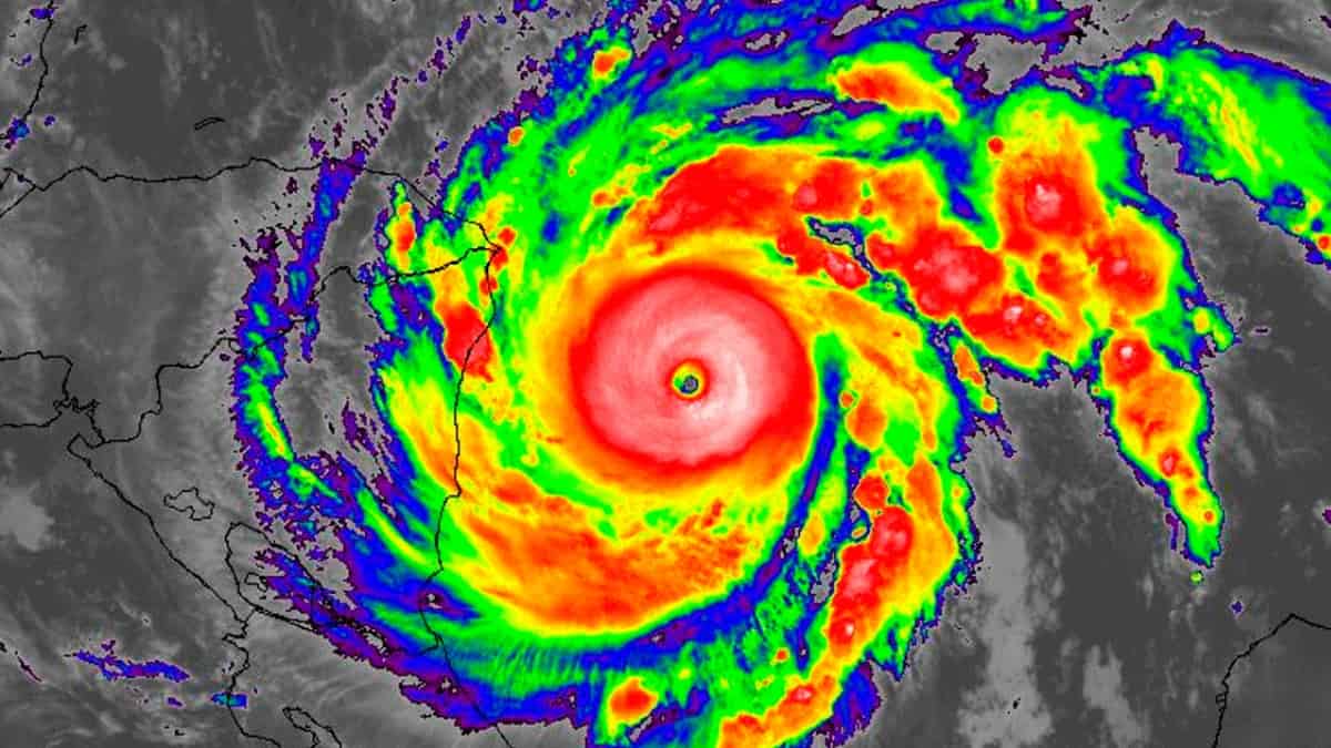
A un año del huracán Iota, estos son los 5 más destructivos de la historia

Este 16 de noviembre se cumple un año del terrible huracán Iota que golpeó a San Andrés y Providencia.


A un año del huracán Iota, estos son los 5 más destructivos de la historia
Foto: Cortesía /

Noticias RCN

noviembre 15 de 2021
08:00 p. m.
Unirse al canal de Whatsapp de Noticias RCN

Se cumple un año de una de las tragedias más importantes en la historia de Colombia con respecto a los desastres naturales que ha sufrido el país.

Este martes 16 de noviembre, un año después de que el huracán Iota golpeara a San Andrés y Providencia, en NoticiasRCN.com realizamos un top de los eventos que han sido los más devastadores de la historia en todo el mundo.

Con su paso por Colombia, Iota dejó cifras desalentadoras en el país. Según información del Registro Único de Damnificado (RUD), este huracán causó las afectaciones de 617 personas en San Andrés, además, 40 mascotas también resultaron damnificadas.

Le puede interesar: Huracán Iota: un desastre anunciado

Por su parte, en Providencia, se tiene un registro de 1.258 personas afectadas (851 familias), 3 personas fallecidas y 1 desaparecida, además, los daños millonarios en infraestructura del archipiélago.

Iota devastó a San Andrés y Providencia debido a su fuerza con la que pasó en la temporada de huracanes en el Atlántico en 2020.

Dicho evento que golpeó al Atlántico fue categoría 5, la más alta en los huracanes que están clasificados de la siguiente manera:

  1. Huracanes de categoría 1: Vientos de 119-153 km / h
  2. Huracanes de categoría 2: Vientos de 154-177 km / h
  3. Huracanes de categoría 3: Vientos de 178-208 km / h
  4. Huracanes de categoría 4: Vientos de 209-251 km / h
  5. Huracanes de categoría 5: Vientos de más de 252 km / h

De esta manera, recordamos en un top-5 los huracanes que han devastado diferentes lugares del mundo y que han causado miles de muertos a su paso:

Le puede interesar: Fontur destinará más de 853 millones para ayudas al sector turismo de San Andrés y Providencia

Huracán Mitch en 1998: causó más de 18.000 muertes

Mitch se presentó del 22 de octubre al 5 de noviembre de 1998 y fue considerado como la peor catástrofe natural del siglo XX, ya que tuvo al menos 18.000 personas muertas, millones de damnificados y daños materiales de millones de dólares.

El huracán alcanzó racha de 285km/h y su paso fue por América Central para llegar a la bahía de Campeche hasta Florida.

Huracán Jeanne en 2004: alrededor de 3.000 muertes

En el segundo lugar está el fenómeno que se presentó entre el 13 y 28 de septiembre de 2004, en el cual terminaron más de 300.000 personas damnificadas y por lo menos 3.000 muertos, debido a que las zonas estaban bastante golpeadas por el paso de huracanes meses anteriores.

El huracán Jeanne fue de categoría 3 al alcanzar velocidades de 195 km/h y devastó a Haití, así como Florida y República Dominicana.

Huracán Stan en 2005: más de 2.000 muertes

El tercero en el listado de más muertes causadas por los fuertes vientos, Stan se produjo entre el primero y cinco de octubre de 2005 y a pesar de que su categoría fue 1, causó grandes estragos en Belice, Costa Rica, El Salvador, Guatemala, Honduras, y Nicaragua, dejando sin vida a por lo menos 2.000 personas.

Los daños que produjo fueron avaluados en cerca de 1.1 millones de dólares debido a que su potencia fue de 130 km/h.

Le puede interesar: Procuraduría pone lupa sobre proceso de reconstrucción de Providencia

Huracán Katrina en 2005: aproximadamente 1.830 muertes

Katrina ha sido el huracán más destructivo en la historia reciente de Estados Unidos ya que su categoría 5 provocó cerca de 1.830 muertos, después de que inundara los estados de Luisiana, Florida y Misisipi.

Este huracán pasó por estas zonas del 23 al 30 de agosto de 2005 y se saldó 1,5 millones de damnificados y más de 81.000 millones de dólares en daños. Sus vientos superaron velocidades de 225 km/h.

Huracán Gordon en 1994: más de 1.000 muertes

Finalmente, el huracán Gordon, que se formó en la costa panameña, se llevó a cabo del 8 al 21 noviembre de 1994. A pesar de presentar categoría de primer nivel, Haití sufrió más de 1.000 muertes en las inundaciones. Este ha sido el huracán más fuerte que ha sufrido Haití, en donde suelen presentarse muchos de estos lamentables eventos.

Le puede interesar: Gobierno entrega casas a familias en San Andrés junto a la organización Ardila Lülle y Postobón

Unirse al canal de Whatsapp de Noticias RCN Google News Síguenos en Google News

Te puede interesar

Venezuela

Desenterraron a Víctor Quero, el preso político cuya muerte fue silenciada por el régimen: su madre lo reconoció

Islas Canarias

Las Islas Canarias se preparan para la llegada del crucero con el brote de hantavirus

Evo Morales

Expresidente Evo Morales iría a juicio en Bolivia por presunta trata de una menor

Otras Noticias

Mundial de fútbol

Cuáles son los estadios de EE. UU., México y Canadá en los que se jugarán los partidos del Mundial 2026

Son 16 los estadios habilitados para albergar a las delegaciones de los países que clasificaron para disputarse la Copa del Mundo 2026.

Minería

Tragedia en Cundinamarca: hallan sin vida a los cuatro trabajadores atrapados en una mina de Cucunubá

Una emergencia minera ocurrida en la vereda Pueblo Viejo dejó como saldo la muerte de cuatro trabajadores que habían quedado atrapados tras una explosión


Este es el ratón de cola larga, especie transmisora de la cepa Andes del hantavirus

Festival del Arroz 2026 en Bogotá: más de 60 restaurantes con platos desde $15.000

¿Pegó mal una lámina del álbum del Mundial? Este truco promete despegarla sin romperla