Alerta máxima en el norte de Filipinas por tifón Heima

El servicio meteorológico Pagasa estableció el nivel 4 de alerta, el más elevado, en las provincias de Cagayan e Isabella, situadas en el litoral oriental del norte de la isla de Luzón, donde se prevé que la tormenta golpeé de lleno.


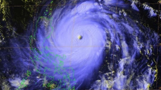
Foto: www.usno.navy.mil

Noticias RCN

octubre 18 de 2016
11:31 p. m.
Unirse al canal de Whatsapp de Noticias RCN

El Heima, llamado Lawin en Filipinas, ha ido ganando fuerza en su avance por el Pacífico y se espera que afecte el jueves por la mañana el norte del país con vientos sostenidos de 220 kilómetros por hora, según Pagasa.

Según el baremo de Pagasa, la señal 4 prevé la destrucción total de estructuras ligeras, daños severos en edificios construidos con materiales mixtos, el corte del suministro eléctrico y de las comunicaciones, y la caída de la mayoría de árboles.

En el boletín matinal, la misma agencia declaraba la señal 3 de alerta en otras cuatro provincias donde se prevén ráfagas de viento de hasta 270 kilómetros por hora.

El tifón se encontraba esta mañana a más de 400 kilómetros de Filipinas y avanzaba a 26 kilómetros por hora, según el Centro Conjunto de Alertas por Tifón (JTWC) gestionado por Estados Unidos.

Este servicio catalogó la tormenta como un supertifón que avanza por el océano con vientos sostenidos de 268 kilómetros por hora y picos de 324.

El Heima alcanzará el norte de Filipinas después que la misma zona se viera afectada el pasado fin de semana por el paso del tifón Sarika, que causó al menos dos muertos.

EFE

Unirse al canal de Whatsapp de Noticias RCN Google News Síguenos en Google News

Te puede interesar

Estados Unidos

Periodista colombiana fue detenida por ICE en Nashville

El Salvador

ONG advierte que hay casi 100 presos políticos en El Salvador

Impuestos

Gobierno publica para comentarios decreto que subiría al 50% los aranceles a más de 185 productos de Ecuador

Otras Noticias

Resultados lotería

Resultado del Super Astro Luna: ya hay número y signo ganador hoy 5 de marzo de 2026

¡El júbilo fue total para varios apostadores tras el sorteo del Super Astro Luna de este 5 de marzo! Descubra aquí el resultado exacto.

Bogotá

Galán invita a los bogotanos a conectar sus cámaras de seguridad a la red de control en la ciudad

Ahora la ciudad cuenta con una herramienta que analiza las grabaciones en busca de cualquier hecho delictivo que haya sido registrado. Paso de ser un proceso de horas a minutos.


¿No sabe qué estudiar? Lanzan el primer test gratuito de IA en Colombia: así puede participar

América derrotó con lo justo a Bucaramanga y se metió a la fase de grupos de la Sudamericana

Bogotá se prepara para el pico respiratorio: aumentan alertas por infecciones que afectan a niños, gestantes y adultos mayores